LOADING

1415 8th Street Owen Sound, Ontario N4K 5N9

2 ac
None No Heat Acreage

$1,950,000

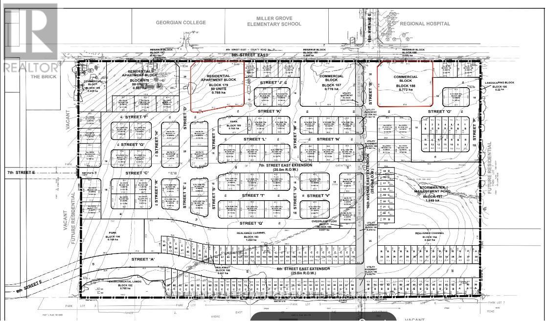
Exceptional Residential Development(Apartment block) Opportunity in Owen Sound, amazing location for Student housing project. Presenting a unique chance to acquire a vacant Residential lot in the vibrant downtown core of Owen Sound. Owen Sound is a rapidly growing urban center in Grey County, just a few hours from Toronto and the U.S.-Canada border, offering direct access to major surrounding markets. The site is located directly across from Regional Hospital, Georgian College, Miller Grove elementary school, community center. This is a limited opportunity to secure a foothold in a thriving area, with convenient access to a diverse range of shopping amenities, the picturesque lake. Opportunity to for development in this prime location. Parcel to be severed from the larger development. The Purchaser will be responsible for their development cost such as development charges, servicing cost etc. Site is zoned and site plan approved, soils and environmental studies are available. All prospective buyers are encouraged to conduct thorough due diligence regarding property. (id:61852)

Business

BusinessType Residential
BusinessSubType Residential

Property Details

MLS® Number X12371334
Property Type Vacant Land
Community Name Owen Sound
AmenitiesNearBy Public Transit, Recreation

Building

CoolingType None
HeatingType No Heat
SizeInterior 2 Ac
UtilityWater Municipal Water

Land

Acreage Yes
LandAmenities Public Transit, Recreation
SizeDepth 243 Ft
SizeFrontage 311 Ft
SizeIrregular 1.95
SizeTotal 1.95 Ac
SizeTotalText 1.95 Ac
ZoningDescription Residential Apartment Block

https://www.realtor.ca/real-estate/28793231/1415-8th-street-owen-sound-owen-sound

Interested?

Contact us for more information


Generating Captcha

Rajinder Minhas-Bal
Broker of Record


Captain Real Estate Group Ltd.
2510 Countryside Dr #22
Brampton, Ontario L6R 3T4

Your Favourites

 

No Favourites Found